| 
																					       
																					
																					
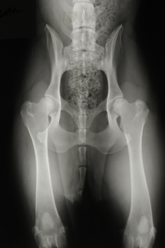
																						Hadelka von Schraderhaus Hips OFA Good /ED Normal DDR/East German /West Working Pedigree 
																					 
																					
																					
																					
																						
																							
																								From the Motherline: Qash Mirr has extreme drive for the toy and tug. Her prey drive and love for the bite is intense.  She is a dominant female with great strength and stamina.   Qash Mirr's sire,   Javir vom Talka Marda is a world class International competitor and  multiple time Team Member for the German World Team, receiving an impressive list of trial accomplishments.  Javir possesses all the sought after working attributes that a well balanced GSD embodies, and as a result has been the #1 Stud dog in Germany for more than 5 years running.  His competition career is a testament to his ability as a working dog, and he has proven to be successfully passing these qualities, along with his robust health and excellent hips, on into his offspring.   Qash Mirr has an excellent and strong temperament, and is an unshakable and highly confident female in all situations. See below the statistics & accomplishments of Qash Mirr's sire , Javir vom Talka Marda Watch Videos of Qash's Sire  Javir in Action... from  WUSV 
																					and BSP competitions 2007, 2008, 2009 and 2010.
  Hadelka's maternal grandmother is Pure DDR;  
																								Xenna vom Parchimer Land.  We imported Xenna from Germany in whelp to Javir.. Xenna is a strong and upbeat female, outgoing and playful and is an excellent mother.  Xenna is the daughter of our DDR stud dog,  V Dino vom Schaferliesel, SCH3, IPO3, KKL1. 
With both her grandsire and granddam possessing a very low ZW hip rating we anticipate 
utilizing Hanya to be a hip improver due to her excellent genetic background 
for hips, from both her father and mother line. She will also instill high drive and very good tracking and scenting abilities for those who may wish to compete in a more specific work venue more specific to  scentwork,.  
  From Hadelka's Sireline: Aik vom Brachtpetal.
  Imported from Germany, Aik 
													has an outgoing yet strong 
													and confident temperament.  
													Powerful in the bark and 
													hold and long bite,  his 
													tracking ability is natural, 
													and he works in a clear, 
													methodical and calm manner, 
													accurately assessing the 
													track and demonstrating 
													precise article indications.  
													He 
													demonstrates high courage 
													with an intense, full grip 
													in bitework.  Comes 
													into the blind strong, 
													displaying a solid,  rythmic 
													bark and hold, and is 
													lightening quick in his 
													reaction to a threat from 
													the helper. Very flashy 
													and upbeat obedience, he 
													gives complete focus and 
													attention to his handler.  
													A joy to watch in motion, he 
													is a fast learner and strives 
													to please his handler, and 
													always 
													demonstrates a very good work ethic.    We will 
													utilize Aik in our 
													breeding program via stored /frozen semen to continue 
													on these 
													excellent traits in his progeny produced for our 
													kennel, as 
													working pups for schutzhund, 
													personal protection and 
													police work in the future.  
													
  Titled in Germany to his IPO1 title, Aik was imported by Schraderhaus K9 and sent for further training in Chicago, where he was handled and trained by Ray Metallo where he obtained his AD title in addition to his IPO1..  We look forward to Hadelka's litters produced for our kennel.
  
																							
																								
																									Hadelka's grandsire,  Javir vom Talka Marda VPG3, IPO3, Kkl.1 HD: A1 normal ZW 69
  SV Bundesleistungssieger IPO 2008 SV WUSV USA/Kentucky 2008 - 3.Platz SV Mannschaftsweltmeister IPO 2008 SV BSP - Meisterschaft IPO 2007 -  SV Universalsieger 2007 ! SV WUSV SK/Bratislava 2007 - 11.Platz SV Vizemannschaftsweltmeister IPO 2007
  Javir 2009 
																									earned SV Universal Sieger,   2009 BSP Vice Sieger in Donaueschingen, 2009 4th at the WUSV, 2008 BSP Sieger  in Baunatal and participated in 2008 at the WUSV,  2007 3rd at BSP in Meppen and participated in WUSV 2007 in Bratislava, Slovakia Javir is one of the most successful competing German Shepherds in the world!! 
  Hanya's Pedigree     
 
  | 
																								 
																							 
																							
																					
																					
																					   
 
  Mother Qash Mirr                     Hadelka            Hadelka's Sire Aik
																					 
																					
																							
																					
																					
																					 
																					 
																					 | 
																					 
  Hadelka 3.5 yrs old
  Hadelka 17 mos 
																					 
  Hadelka 17 mos
 
   Hanya  and  Hadelka... 3.5 mos
   Hadelka and Hanya @ 3.5 mos 
																					
																					  
																					 
																					
																							
																					
 
  
																					 |